LOADING

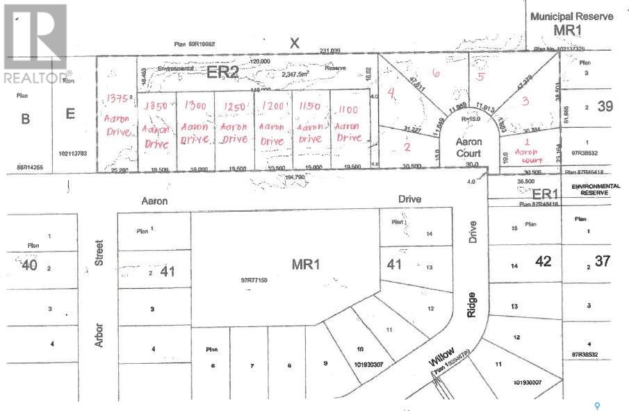
1200 Aaron Drive Pilot Butte, Saskatchewan S0G 3Z0

$167,700

Build your dream home with a double attached garage or triple-car garage today! Here awaits your WALKOUT LOT with 8400sq’, 64X131. Enjoy the park across the street, and all the amenities are only two blocks away: Subway, Alex Pizza, Broncos Pub & Grill, a Liquor Store, A & D Fresh Market, White Butte Pharmacy, Pilot Butte Early Learning Centre, DY International Appliances, Hot Shades, Blue Rooster Café, a Car Wash, and the Fire Hall. The Elementary School is close by, too. Pilot Butte is a growing community just minutes from Regina. (id:51699)

Property Details

MLS® Number SK004263
Property Type Vacant Land
Features Rectangular

Building

Type Unknown

Land

Acreage No
Size Frontage 64 Ft
Size Irregular 8400.00
Size Total 8400 Sqft
Size Total Text 8400 Sqft

https://www.realtor.ca/real-estate/28240026/1200-aaron-drive-pilot-butte

Interested?

Contact us for more information


Generating Captcha

Your Favourites

 

No Favourites Found